Фото: freepik.com
Фото: freepik.com

В Дубне до 14 мая перекроют дорогу на Ленинградской улице из-за ремонта теплосетей


/Главная /Новости
Автор текста:
Денис Садкевич
/важно
/Главная /Новости
Автор текста:
Денис Садкевич

/важно

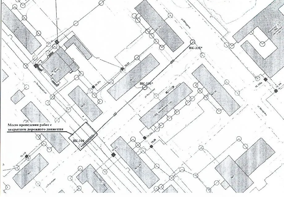
По уточненным данным, движение транспорта планируется перекрыть до 14 мая. Причина — замена участка водопроводных сетей на улице Курчатова. В связи с этим движение автотранспорта в районе дома №13 по улице Ленинградская.

В администрации отметили, что организационные, информационные и технические меры, необходимые для выполнения работ, обеспечиваются Объединенным институтом ядерных исследований (ОИЯИ). 

Прилагаем схему организации дорожного движения.

Фото: администрация Дубны
Фото: администрация Дубны